玛娃最新消息路径分析:根据最新数据,我们对玛娃的路径进行了详细分析。目前,玛娃正在向某地移动,预计将会在未来一段时间内对该地区产生影响。我们对其移动路径、速度和可能的影响进行了全面的评估,并提醒当地居民做好防范措施。需要持续关注玛娃的最新动态,以便及时采取应对措施。
本文目录导读:
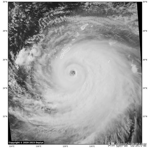
根据最新气象数据,热带气旋玛娃(Mawa)正在太平洋海域持续活动,本文将对玛娃的最新消息路径进行详细分析,包括其位置、强度、预计移动路径以及对可能受影响地区的影响。
玛娃当前位置及强度
截至最新报告时间,热带气旋玛娃位于经度XX度,纬度XX度的太平洋海域,目前,玛娃已达到热带风暴级别,最大持续风速达到每小时XX公里,其中心附近气压较低,为XX百帕。
玛娃预计移动路径
根据气象部门最新预测,玛娃将以每小时XX公里的速度向西北方向移动,预计未来XX小时内,玛娃将继续在太平洋海域活动,并逐渐增强,未来几天,玛娃的路径将受到多种因素的影响,包括海洋温度、风向和风速等,气象部门将继续密切关注其动态。
潜在影响及应对措施
1、海洋影响:玛娃将继续影响太平洋海域,可能导致海浪、风暴潮等海洋现象,航海船只需注意安全,及时关注气象预警。
2、气象影响:玛娃可能影响周边地区的天气模式,导致降雨、风力增强等天气现象,当地居民应关注气象部门发布的预警信息,做好防范准备。
3、灾害应对:各级政府及有关部门应密切关注玛娃的最新动态,做好防范和应对灾害的准备,特别是沿海地区,需加强巡查,确保人民群众生命财产安全。
专家观点及建议
气象专家表示,热带气旋玛娃的移动路径和强度仍存在不确定性,需持续关注,专家建议,相关部门和公众应做好防范准备,及时关注气象预警信息,对于可能受到影响的地区,政府应组织力量加强巡查,确保人民群众安全。
玛娃与其他天气系统的相互作用
目前,玛娃周围有其他天气系统存在,如其他热带气旋或高压系统等,这些天气系统可能与玛娃相互作用,影响其移动路径和强度,气象部门需密切关注这些天气系统的动态,以便更准确地预测玛娃的未来走向。
国际社会的关注与应对措施
热带气旋玛娃的活动引起了国际社会的广泛关注,各国气象部门已加强合作,共同监测和评估玛娃的发展态势,受影响的国家和地区已采取一系列应对措施,包括疏散居民、准备救援物资等,以确保公众安全。
公众关注焦点与科普宣传
随着玛娃的持续活动,公众对其关注度不断提高,为了增强公众对热带气旋的认识和了解,气象部门积极开展科普宣传活动,介绍热带气旋的形成、发展和影响等方面的知识,提醒公众在遭遇热带气旋时,如何采取正确的防范措施,保护自身安全。
目前,热带气旋玛娃仍在持续活动,其移动路径和强度仍存在不确定性,各级政府及有关部门应密切关注玛娃的最新动态,做好防范和应对灾害的准备,公众亦需关注气象预警信息,做好自我防范,随着科技的进步和气象监测手段的不断完善,我们对热带气旋的预测和防范能力将不断提高,希望通过本文的阐述,使读者对玛娃的最新消息路径有所了解,共同做好防范工作。
转载请注明来自网页游戏平台_精品手游_最新手机游戏排行榜,本文标题:《玛娃最新动态路径解析》







备案号
还没有评论,来说两句吧...